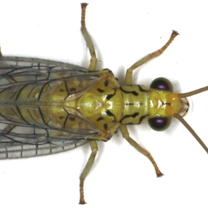
Defining forewing cell
The requested information will be emailed to you in CSV format.
Terms of use
NatureMapr data export is a privilege provided to moderators.
By exporting NatureMapr data, you agree to:
Breach of terms will result in moderator privileges being revoked.
Your export is being prepared...
We'll email it to you as soon as it's ready.
Note: This process may take up to an hour.