Uroplata girardi (Lantana Hispid)


Names: Lantana Hispid; Lantana Leaf Beetle; Lantana Leafminer

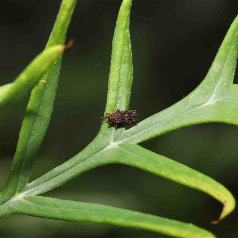
Appearance: The Lantana Leafminer is a small shiny brown beetle. The wing covers are rectangular and have corrugations along the length. It has several golden brown spots on the wing covers, and golden coloured legs. The beaded antennae are fairly short and stout.

Length: 15mm

Distribution: The Lantana Leafminer occurs naturally in Brazil, Paraguay and Argentina. It was first released in Australia in 1966. In Australia it is found from far north Queensland to Sydney, and also around Darwin.

Habitat: Forests and woodland

Reproduction: Eggs are laid on Lantana leaves. The larvae feed through middle leaf layers, forming mines - usually two per leaf, each containing a single larva. Pupation occurs in the leaves. Development from egg to adult takes 31-52 days. Adults live for 6-9 months, but may enter a period of inactivity during winter when conditions are unfavourable.

Food: Larvae feed on lantana leaves. Damaged leaves can be shed, causing the plant to become stunted.


Gallery

832,059 sightings of 23,590 species from 15,349 members
CCA 3.0 | privacy
NatureMapr is developed by at3am IT Pty Ltd and is proudly Australian made